Active
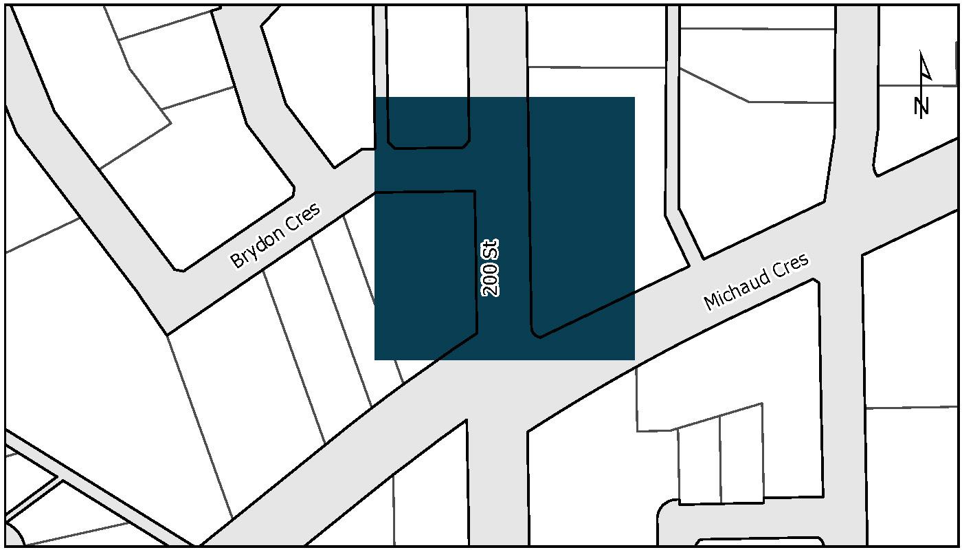
Location
Baldi Creek at 200 Street (5400 Block)
Estimated duration
Summer 2025 to December 2026
Estimated investment
$2 million
Project details
- Re-lining of the existing two steel (CSP) deteriorating culverts with HDPE lining
Temporary impacts
- Traffic lane and sidewalk closures
Contractor name
TBD
City project manager
Ghaza
Image
